Feuerbrand (Erwinia amylovora)
Feuerbrand ist eine hoch ansteckende Bakterienkrankheit, welche ursprünglich aus Nordamerika stammt und verschiedene Obst-, Zier- und Wildgehölze befällt. Bereits in den 50er Jahren wurde Feuerbrand von Amerika nach Europa eingeschleppt. In Österreich gab es das erste gesicherte Auftreten 1993 in Vorarlberg. Neben dem Apfelanbau stellt diese Krankheit besonders für Birne und Quitte eine große Gefahr dar.
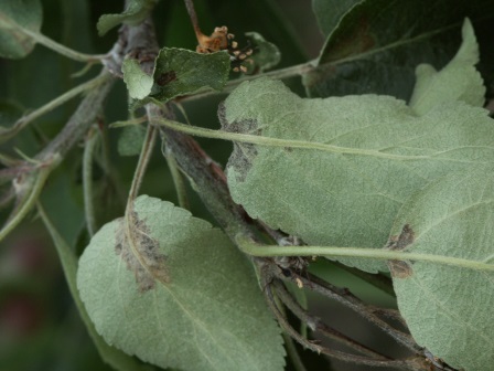
Schadbild
Im Regelfall geht ein Befall von Infektionen an den Blüten (Blüteninfektion) aus. Befallene Blüten werden welk, verfärben sich braun und bleiben dann noch längere Zeit am Baum. Häufig werden nur einzelne Blüten eines Blütenbüschels infiziert. In den Baum eingedrungene Bakterien breiten sich über die Leitungsbahnen weiter aus.
Junge Früchte beginnen bei Befall vom Stiel ausgehend schwarz zu verfärben und trocknen langsam ein. Befallene Triebe krümmen sich nach unten, die Blätter verfärben sich vom Stiel und Mittelnerv ausgehend braun und in weiterer Folge vertrocknet der gesamte Trieb (siehe Abbildungen). Auffällig ist, dass die eingetrockneten Blätter den ganzen Sommer hindurch am Baum hängen bleiben. Bei warm-feuchter Witterung kann es nach der Blüte an befallenen Pflanzenorganen vorübergehend zum Austritt von zunächst milchigem und sich später rotbraun verfärbenden Bakterienschleim (siehe Abbildung) kommen (muss jedoch nicht der Fall sein).
Erreger/Lebensweise
Die Überwinterung von Feuerbrandbakterien erfolgt in befallenen Wirtspflanzen am Übergang zwischen gesundem und abgestorbenem Gewebe. Bakterien beginnen sich im Frühjahr stark zu vermehren und treten unter best. Voraussetzungen tropfenartig an den Befallsstellen aus. Besonders Insekten werden von diesem süßen Exsudat angezogen und tragen so ganz wesentlich zur weiteren Verbreitung bei. Infektionen können über Blüten, Triebe (Triebspitzen) oder Wunden erfolgen. Die häufigsten Infektionen erfolgen jedoch über die Blüten. Gelangen die Bakterien auf geöffnete Blüten, können sie sich gut vermehren und über die Nektarien in die Wirtspflanze eindringen.
Infolge von Blüteninfektionen kommt es häufig an Blütenstielen und anderen befallenen Pflanzenorganen zum Austritt von Bakterienschleim. Wund- und Triebinfektionen treten meistens sekundär nach einem Blütenbefall auf. Bei Triebinfektionen dringen Bakterien direkt über unverholzte (krautige) Triebspitzen in die Wirtspflanze ein. Wundinfektionen können durch Kulturmaßnahmen (Sommerschnitt, Laubarbeit, Ausdünnen, ...) oder Hagelereignisse gefördert werden. Der Winterschnitt hat für die Übertragung von Feuerbrandbakterien nur geringe Bedeutung. Zwar können die Bakterien bei tiefen Temperaturen über Monate auf diverse Medien (Schnittwerkzeug, ...) überdauern, haben jedoch unter 10°C so gut wie keine Aktivität.
Weltweit sind über 200 Wirtspflanzen von Feuerbrand bekannt. In Mitteleuropa sind vor allem folgende Pflanzenarten betroffen:
Birne (Pyrus), Quitte (Cydonia), Weiß- und Rotdorn (Cratuegus), Mehlbeer und Eberesche (Sorbus), Felsenbirne (Amelanchier), Steinmispel (Cotoneaster), Feuerdorn (Pyracantha), Scheinquitte (Chaenomeles), Stranvaesie (Stranvaesia) und Mispel (Mespilus). Bei den angeführten Wirtspflanzen bestehen in ihrer Anfälligkeit bedeutende Unterschiede. Als besonders empfindlich gelten Birne, Quitte, Cotoneaster, Weiß- und Rotdorn sowie Feuerdorn. Weiters sind auch innerhalb einer Pflanzenart große Sortenunterschiede bekannt. Bei einigen Apfelsorten wird der Befall rasch abgestoppt. Pflanzenorgane vertrocknen im Laufe des Frühsommers und es kommt zu einem scheinbar gesunden Durchtrieb. Anfällige Pflanzen können jedoch innerhalb kürzester Zeit absterben. Als besonders anfällig hat sich leider M9, die derzeit wichtigste Unterlage im kleinkronigen Apfelanbau, herausgestellt. Häufig wird die Unterlage befallen ohne dass an der Baumkrone ein nennenswerter Befall sichtbar wird. Dieser Unterlagenbefall führt jedoch zum Absterben des Baumes.