Sie befinden sich hier:

Miniermotten: Häufige Arten sind Pfennigminiermotte (Leucoptera malifoliella), Blattaschenminiermotte oder Faltenminiermotte (Lithocolletis blancardella), Schlangenminiermotte (Lyonetia clerkella) und Apfelblattminiermotte (Stigmella malella)

Zu den wichtigesten Miniermotten im Apfelanbau zählt die Pfennigminiermotte (Leucoptera malifoliella), die vor allem in biologisch bewirtschafteten Anlagen gehäuft auftreten kann und durch Schädigung der photosynthetisch aktiven Blattfläche zu Ertragsminderungen führen kann. Alle weiteren Miniermotten haben nur selten eine ökonomische Bedeutung.

Pfennigm.JPG
© Obstbauberatung LK Steiermark
Verkotete Platzminen der Pfennigminiermotte
16_Pfennigminiermotte.JPG
© Obstbauberatung LK Steiermark
Starker Befall mit der Pfennigminiermotte
IMG_0017.JPG
© Obstbauberatung LK Steiermark
Eiraupe auf der Blattunterseite
keine
© Obstbauberatung LK Steiermark
Pfennigminiermotte auf einer Blütenknospe
Pfennigminiermotte_Puppen.JPG
© Obstbauberatung LK Steiermark
Kokons der Pfennigminiermotte zur Überwinterung
Taschenmotte1.JPG
© Obstbauberatung LK Steiermark
Fensterfraß der Blatttaschenminiermotte
Taschenmotte2.JPG
© Obstbauberatung LK Steiermark
Blatttaschenminiermotte Taschenbildung Blattunterseite
P1050035_Blatttaschenminiermotte.JPG
© Obstbauberatung LK Steiermark
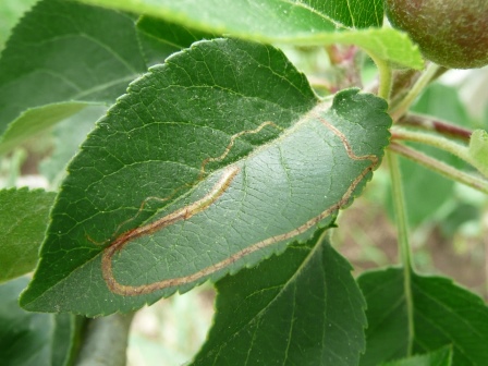
Minen der Schlangenminiermotte

Schadbild

Miniermotten sind kleine Schmetterlinge, deren Larven sich in Blätter einfressen und dort schmale Fraßgänge (Minen) hinterlassen, wodurch sie Pflanzen schädigen können. Die Fraßbilder sehen je nach Art unterschiedlich aus.
Die Larven der Pfennigminiermotte fressen im Blatt runde Minierstellen (siehe Abbildung). Blattaschenminiermotten verursachen an der Oberseite des Blattes einen Fensterfraß, an der Unterseite der Blätter bildet sie eine Tasche (siehe Abbildung). Die Raupen der Schlangenminiermotte verursacht einen schlangenförmigen Gang auf der Blattoberseite, wobei sich der Gang zum Ende hin nur leicht verdickt. Im Gegensatz dazu sind die Schlangenminen der Apfelblattminiermotte am Ende deutlich verdicket und enden in einer Platzmine.

Erreger/Lebensweise

Pfennigminiermotte (Leucoptera malifoliella)

Der Falter hat eine Flügelspannweite von etwa 7 mm. Die Vorderflügel sind grau mit orangegelber und schwarzer Zeichnung an den Flügelenden (siehe Abbildung). Die Falter der ersten Genera­tion treten schon ab Blühende auf. Die Eier werden an der Blattunterseite einzeln abgelegt.
Die Verpuppung erfolgt in den obersten Bo­denschichten. Anfang bis Mitte Juli er­scheinen die Falter der 2. Generation. In sehr warmen Jahren kann es zur Ausbil­dung einer 3. Generation kommen. Die Larven überwintern in einem Kokon in Rindenritzen am Stamm oder dicken Ästen (siehe Abbildung).

Blattaschenminiermotte oder Faltenminiermotte (Lithocolletis blancardella)

Die Falter mit einer weißlichen, silbrigen Zeichnung auf den Flügeln fliegen etwa eine Woche vor der Pfennigminiermotte, also schon während Blüte. Die Raupe verpuppt sich in der Mine. Die Blattaschenminiermotte überwintert als Puppe in den ab­gefallenen Blättern. Sie bildet zwei bis drei Generationen pro Jahr.

Schlangenminiermotte (Lyonetia clerkella)

Der Flug der Schlangenminiermotte setzt bereits zu Blühbeginn ein. Der Falter ist etwa 8 mm groß, die Vorderflügel sind glänzend weiß mit einigen schwarzen Streifen und einem dunklem Fleck an deren Spitze. Die Überwinterung der Schlangenminiermotte erfolgt als ausgewachsenes Insekt.


Apfelblattminiermotte (Stigmella malella)

Der Falter ist etwa 4 mm groß. Die Vorderflügel sind mit einer weißlichen Querbinde über­zogen. Die Falter fliegen Anfang Mai. Im Sommer kommt es zur Ausbildung einer 2. Gene­ration. Die Überwinterung erfolgt als Puppe in einem Kokon am Boden.

Zur Flugbeobachtung von Miniermotten können Pheromonfallen eingesetzt werden.

 

Kooperationspartner

Sponsoren